Main Street Doaktown, New Brunswick E9C 1B7
Waterfront On River
Acreage
$89,900
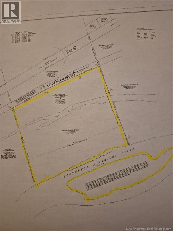
This is possibly the cheapest waterfront with Riparian Rights including fishing that consists of approx.1600 ft +/- and a 1000+/- of island which coincidentally has 50 acres plus of land attached to it and includes Bogan. (id:61088)
Property Details
| MLS® Number | NB126020 |
| Property Type | Vacant Land |
| Amenities Near By | Golf Course, Recreation Nearby, Shopping |
| Community Features | Fishing |
| Features | Treed, Golf Course/parkland |
| Structure | None |
| View Type | River View |
| Water Front Type | Waterfront On River |
Building
| Utility Water | None |
Land
| Acreage | Yes |
| Land Amenities | Golf Course, Recreation Nearby, Shopping |
| Sewer | No Sewage System |
| Size Irregular | 53 |
| Size Total | 53 Ac |
| Size Total Text | 53 Ac |
https://www.realtor.ca/real-estate/28811095/main-street-doaktown
Contact Us
Contact us for more information
Mary Kearney
Agent Manager
(506) 455-7313
Key Group Realty Corp.
279 George St.
Fredericton, New Brunswick E3B 1J4
279 George St.
Fredericton, New Brunswick E3B 1J4
(506) 461-9048
(506) 455-7313















