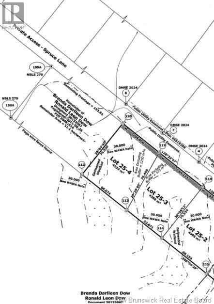
25-3 Spruce Lane Damascus, New Brunswick E5N 4B7
Acreage
$29,000
Looking to build a cottage or home away from it all, but still close enough to everything? This could be the one. 1 Acre lot of heaven on a private road with beach access could be yours. Power is available on the road making hook up easy. Deeded beach rights with access to Terreo Lake where you can swim, fish, skate and even enjoy small watercrafts. HST is applicable. (id:61088)
Property Details
| MLS® Number | NB130156 |
| Property Type | Vacant Land |
| Amenities Near By | Recreation Nearby |
| Community Features | Fishing |
| Features | Beach |
Building
| Utility Water | None |
Land
| Access Type | Year-round Access, Private Road |
| Acreage | Yes |
| Land Amenities | Recreation Nearby |
| Sewer | No Sewage System |
| Size Irregular | 4388 |
| Size Total | 4388 M2 |
| Size Total Text | 4388 M2 |
https://www.realtor.ca/real-estate/29166928/25-3-spruce-lane-damascus
Contact Us
Contact us for more information
Patricia Gallagher
Salesperson
Exit Realty Specialists
1020 Rothesay Road
Saint John, New Brunswick E2H 2H8
1020 Rothesay Road
Saint John, New Brunswick E2H 2H8
(506) 642-3948
(506) 642-7770




