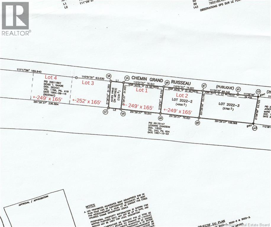
4,000 Mc Chemin Grand Ruisseau Pigeon Hill, New Brunswick E8T 2T7
$29,900
Located in a quiet village, this is a beautiful place to build your dream home. Not far from the sea, this land is a must-see. The lot is wooded, providing you with a private location in Pigeon Hill. You can go fishing or simply enjoy the nearby beache. The lot will be surveyed at the seller's expense upon completion of the purchase. The property assessment and property tax amount are for the entire lot. This amount will be adjusted after the sale of a lot. Situé dans un village tranquille, c'est un bel endroit pour y construire votre maison de rêve. Non loin de la Mer, ce terrain est à saisir. Le lot est boisé, pouvant vous procurer un lieu privé à Pigeon Hill. Vous pouvez y pratiquer la pêche ou simplement profiter de la plage à proximité. Le lot sera arpenté au frais du vendeur lors de la finalisation de l'achat. (id:61088)
Property Details
| MLS® Number | NB133383 |
| Property Type | Vacant Land |
| Features | Treed, Hardwood Bush, Softwood Bush |
| Structure | None |
Building
| Utility Water | None |
Land
| Access Type | Year-round Access, Public Road |
| Acreage | No |
| Sewer | No Sewage System |
| Size Irregular | 4000 |
| Size Total | 4000 M2 |
| Size Total Text | 4000 M2 |
| Soil Type | Unknown |
https://www.realtor.ca/real-estate/29340215/4000-mc-chemin-grand-ruisseau-pigeon-hill
Contact Us
Contact us for more information
Robert Noel
Salesperson
401 Rue Georges Est
Tracadie, New Brunswick E1X 1B3
(506) 393-7771
(506) 393-7072


